Back

Request for Proposal – Catskill Point Shoreline Restoration Project

Advertisement for Bids Shoreline Restoration Project Page 1 Advertisement for Bids Shoreline Restoration Project Page 2

ADDENDUM

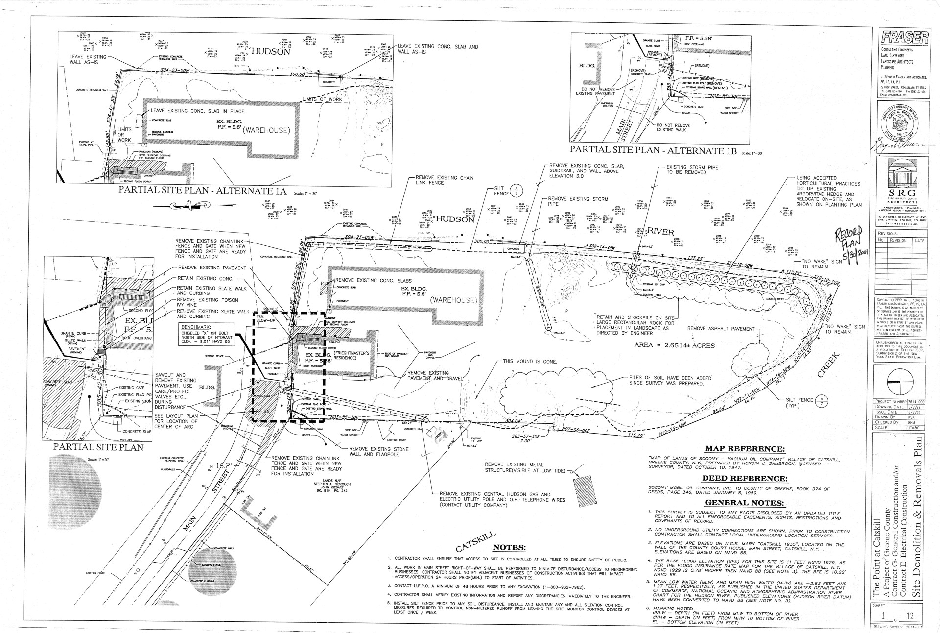
1 Addendum No. 1 Shoreline Project Page 01 1 Addendum No. 1 Shoreline Project Page 021 Addendum No. 1 Shoreline Project Page 03 1 Addendum No. 1 Shoreline Project Page 04 1 Addendum No. 1 Shoreline Project Page 05 1 Addendum No. 1 Shoreline Project Page 06 1 Addendum No. 1 Shoreline Project Page 07 1 Addendum No. 1 Shoreline Project Page 08 1 Addendum No. 1 Shoreline Project Page 09 1 Addendum No. 1 Shoreline Project Page 10 1 Addendum No. 1 Shoreline Project Page 111 Addendum No. 1 Shoreline Project Page 12 1 Addendum No. 1 Shoreline Project Page 13 1 Addendum No. 1 Shoreline Project Page 14 1 Addendum No. 1 Shoreline Project Page 15 1 Addendum No. 1 Shoreline Project Page 16 1 Addendum No. 1 Shoreline Project Page 17 1 Addendum No. 1 Shoreline Project Page 18 1 Addendum No. 1 Shoreline Project Page 19 1 Addendum No. 1 Shoreline Project Page 20 1 Addendum No. 1 Shoreline Project Page 211 Addendum No. 1 Shoreline Project Page 22 1 Addendum No. 1 Shoreline Project Page 23 1 Addendum No. 1 Shoreline Project Page 24 1 Addendum No. 1 Shoreline Project Page 25 1 Addendum No. 1 Shoreline Project Page 26 1 Addendum No. 1 Shoreline Project Page 27 1 Addendum No. 1 Shoreline Project Page 28